- Главная
- Законодательство
- Нормативно-правовые документы МО
- Постановления
- 2026 год
- Постановление 59 от 06.02.2026
2026 год
06.02.2026 08:45 Постановление 59 от 06.02.2026
АДМИНИСТРАЦИЯ МУНИЦИПАЛЬНОГО ОБРАЗОВАНИЯ
«СЫЧЕВСКИЙ МУНИЦИПАЛЬНЫЙ ОКРУГ» СМОЛЕНСКОЙ ОБЛАСТИ
П О С Т А Н О В Л Е Н И Е
от 06 февраля 2026 года № 59
О предоставлении разрешения на использование земель, государственная собственность на которые не разграничена, в целях размещения объектов, не требующих разрешения на строительство
В соответствии со ст. 39.36 Земельного кодекса Российской Федерации, постановлением Правительства Российской Федерации от 03.12.2014 года № 1300 «Об утверждении перечня видов объектов, размещение которых может осуществляться на землях или земельных участках, находящихся в государственной или муниципальной собственности, без предоставления земельных участков и установления сервитутов», постановлением Администрации Смоленской области от 28.05.2015 года № 302 «Об утверждении Положения о порядке и условиях размещения объектов на землях или земельных участках, находящихся в государственной или муниципальной собственности, без предоставления земельных участков и установления сервитутов», на основании заявления АО «Газпром газораспределение Смоленск», ИНН/КПП 6731011930/673101001, ОГРН 1026701455329, расположенного по адресу: 214019, Смоленская область, г. Смоленск, Трамвайный проезд, д.10, схемы границ предполагаемых к использованию земель или части земельных участков на кадастровом плане территории,
Администрация муниципального образования «Сычевский муниципальный округ» Смоленской области
п о с т а н о в л я е т:
1. Предоставить АО «Газпром газораспределение Смоленск» разрешение на использование земельного участка в соответствии с приложенной схемой границ земель на кадастровом плане территории в целях размещения объектов, не требующих разрешения на строительство (п.6 Постановления Правительства РФ от 03.12.2014 № 1300, нефтепроводы и нефтепродуктопроводы диаметром DN 300 и менее, газопроводы и иные трубопроводы давлением до 1,2 Мпа, для размещения которых не требуется разрешения на строительство):
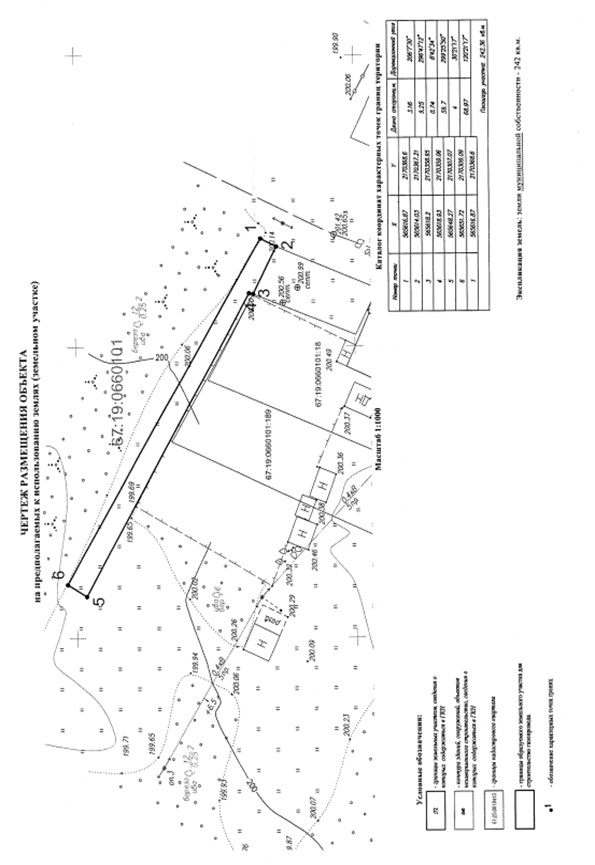
- газопровод низкого давления к границе участка заявителя по адресу: Смоленская область, Сычевский район, д. Ладыгино, ул. Луговая, д. 19 (кадастровый номер земельного участка 67:19:0660101:189), общей площадью 242 (двести сорок два) кв.м., расположенного в зоне застройки индивидуальными жилыми домами Ж1, с видом разрешенного использования земель «коммунальное обслуживание» (код вида – 3.1), местоположение: Российская Федерация, Смоленская область, муниципальный округ Сычевский, деревня Ладыгино, улица Луговая, в районе д. 19, в границах кадастрового квартала 67:19:0660101.
Вырубка зеленых насаждений не требуется.
2. Координаты характерных точек границ земельного участка, предполагаемого к использованию, отображены на схеме границ, являющейся неотъемлемой частью настоящего постановления (приложение).
3. Установить срок действия разрешения, указанного в пункте 1 настоящего постановления, - 11 месяцев, начиная с 06.02.2026 г.
4. В случае, если использование земельного участка, указанного в пункте 1 настоящего постановления, привело к порче либо уничтожению плодородного слоя почвы в границе такого земельного участка, Пользователь обязан:
1) привести такой земельный участок в состояние, пригодное для его использования в соответствии с разрешенным использованием;
2) выполнить необходимые работы по рекультивации такого земельного участка.
5. Обеспечить установления зон с особыми условиями использования территорий в соответствии с требованиями федерального законодательства.
6. Приемку в эксплуатацию размещаемых объектов осуществлять с участием представителя Администрации муниципального образования «Сычевский муниципальный округ» Смоленской области.
7. Решение о предоставлении земельного участка, указанного в пункте 1 настоящего постановления, направляется в адрес заявителя в течение трех рабочих дней со дня принятия соответствующего решения о предоставлении земельного участка.
8. Контроль за исполнением настоящего постановления возложить на заместителя Главы муниципального образования «Сычевский муниципальный округ» Смоленской области С.Н. Митенкову.
9. Опубликовать настоящее постановление в районной газете «Сычевские вести» и разместить на официальном сайте Администрации муниципального образования «Сычевский муниципальный округ» Смоленской области в информационно-телекоммуникационной сети «Интернет».
И.п. Главы муниципального образования
«Сычевский муниципальный округ»
Смоленской области С.Н. Митенкова
УТВЕРЖДЕНА
постановлением Администрации
муниципального образования
«Сычевский муниципальный округ» Смоленской области
от 06.02.2026 года № 59


- 59 docx (385.45 KB) О предоставлении разрешения на использование земель, государственная собственность на которые не разграничена, в целях размещения объектов, не требующих разрешения на строительство
|
|
|




















































































































